1 / 2
8 500 000 €3257 €/m²
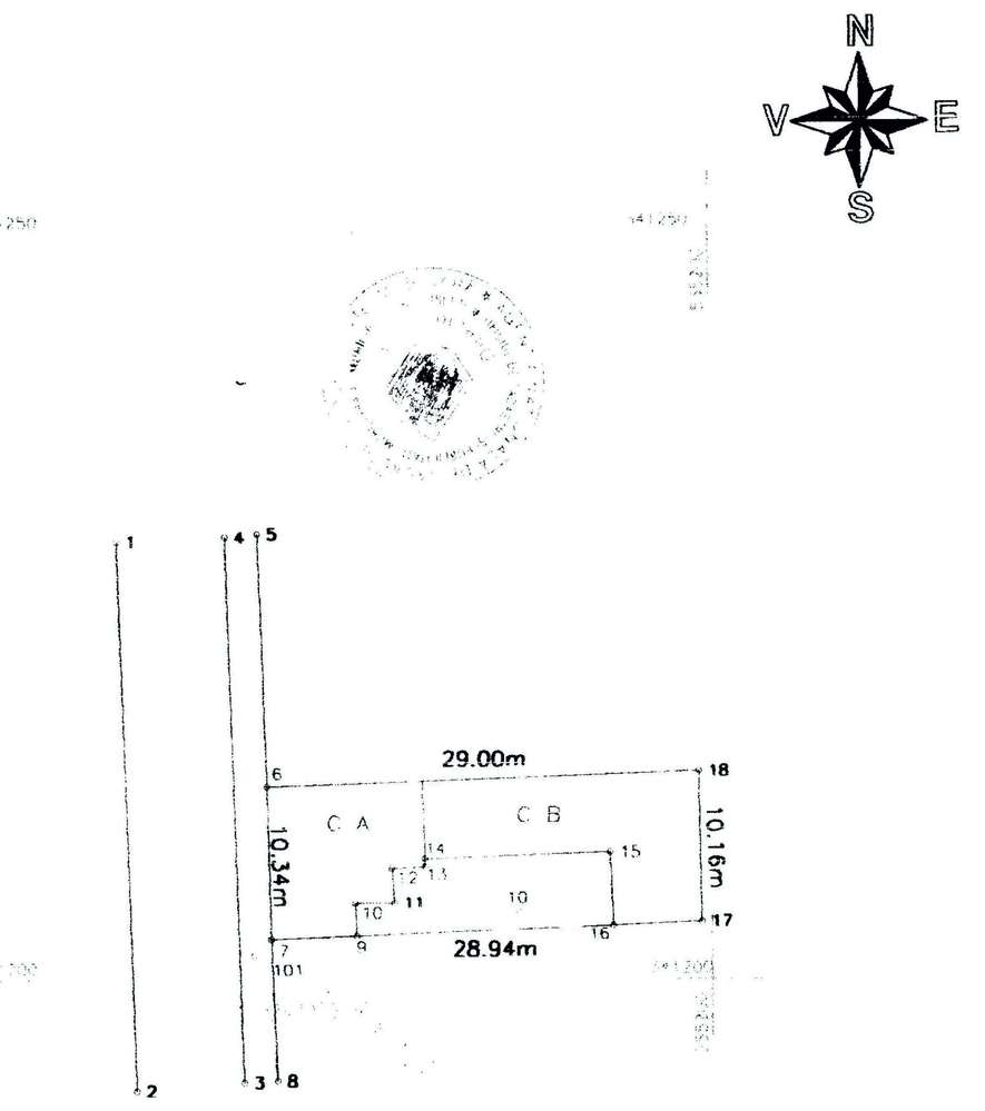
Kiseleff teren 2610 mp, deschidere 30 ml ,CUT 2,5, POT 40%
Soseaua Pavel D. Kiseleff, Aviatorilor, Sectorul 1, Bucuresti
- Prețul pe metru pătrat
- 2610 m²
Vezi descrierea anunțului
Vezi descrierea anunțului
Intr-o zona de o distinctie rara si de un prestigiu urbanistic remarcabil, pe Bulevardul Paul Kiseleff, una dintre cele mai emblematice artere ale Capitalei, se ofera spre vanzare un teren de exceptie...
